戦前期モンゴル社会関係実態調査資料集成
【監修・解説】ボルジギン ブレンサイン(滋賀県立大学人間文化学部准教授)

[第1期]満洲国関連機関調査報告 I

「非開放蒙地調査報告」「開放蒙地調査報告」

◎内容と特色
調査班の出発
1.近現代の「モンゴル」(特に内モンゴル地域)における社会変動を実証的に研究するために、必要不可欠な資料である戦前期日本の各種機関が調査・報告した一連の「モンゴル社会関係実態調査資料」。これら資料は広く知られている『中国農村慣行調査』(中国農村慣行調査刊行会編、岩波書店、1952 ~ 1958年)に収められた報告書にも、比肩する内容をもちながら、これまで積極的な利用、検証が行われず、十分な研究の進展がなされてこなかった。今回、これら「モンゴル社会関係実態調査資料」を調査・刊行機関、調査対象地域などの特色によって分類し、研究者の利用に適した構成で系統的に復刻刊行する。
馬車で移動する調査班
2.第1期は「満洲国」関連機関(満洲国興安局)による「非開放蒙地」「開放蒙地」に関する調査資料を順次刊行する。
3.資料集は土地制度から社会経済に渡る総合的で精緻な調査報告と調査に関わった人々の研究発表の舞台でもあった『蒙古研究』、「満洲国」の土地整理事業に関わった専門家の論壇の役を担った『地政』などの専門誌を渉猟、精選した蒙地関係の資料で構成する。
4.当時の「モンゴル社会」の全貌の把握を可能にする収録された資料群は、今日の複雑な「モンゴル社会」の通時的な研究を可能にし、その検証と理解に大きく寄与する力を有する。
固定ゲル(上)と
移動ゲル(下)(モリト村)
5.シリーズ別巻では「モンゴル社会関係実態調査資料」の総合的な学術価値を分析するとともに、当時の調査対象地域にフィールドワークを実施し、その追跡調査のプロセスと成果を系統的に提示する。また収録資料を読み解くための「蒙地関連参考資料」を併せて収録する。
全11巻
全巻揃価:305,000円(税別)
B5判上製/全5,700頁
全3回配本
第1回配本「非開放蒙地調査報告」:全6巻 揃価:170,000円(税別)/ISBN978-4-86364-288-1 3,200頁 2013年11月刊行/発売中
第2回配本「開放蒙地調査報告」:全5巻 揃価:135,000円(税別)/ISBN978-4-86364-290-4 2,500頁 2014年4月刊行/発売中

農具(ハラトクチン村)
普段着の戸主と主婦
(ハラトクチン村)










燃料用牛糞と村の長老
(モリト村)
ラマ教寺院
(開放蒙地内)
アルホルチン旗土地利用図
東科中旗唯一のシャーマン
モリト村のモンゴル人婦人





























「内モンゴル」調査地区の現在
東部内モンゴルの代表的な楽器「四胡」を弾く村民
遊牧民一家の秋(1999年)













伝統衣装(アルホルチン地域:1999年)
移動型、固定型ゲルの共存
(アルホルチン地域:1999年)














[第2期]満洲国関連機関調査報告 II

「錦熱蒙地調査報告」

◎内容と特色
「錦熱蒙地調査報告 上巻」
1.第2期『満洲国関連機関調査報告Ⅱ』には「満洲国」南部の錦州省、熱河省内に位置した蒙地および興安西省内各旗の関連蒙地といった所謂「錦熱蒙地」に関する調査資料を編集、収録する。
2.資料集は康徳6(1939)年に地籍整理局により実施された『錦熱蒙地調査』の報告としてまとめられた資料を中心に、『蒙古研究』『地友会雑誌』『地政』などの専門誌に掲載されたジョーオド盟、ジョスト盟などに関する報告・論考などで構成する。 さらに鉄道敷設の目的から「錦熱蒙地」に深い関心を有していた「満鉄」による独自の観点からの報告、『法律時報』『社会経済史学』などの幅広い領域の専門誌から「錦熱蒙地」に関連性の高い論文などを厳選のうえ収録する。
3.資料内容は『錦熱蒙地調査』で実施された土地整理事業の全体像を検証するだけでなく、当該蒙地における土地関係、社会経済、生活・文化研究のための基礎資料と位置付けられるものである。
4.『満洲国関連機関調査報告』編の別巻に「錦熱蒙地」を含んだ満洲国関連機関により実施された一連の蒙地関連調査報告を総合的に考察する解説を収める。
戦前のラマ教寺院瑞応寺ゲゲーン・スム
5.「錦熱蒙地」、第1期「非開放蒙地」「開放蒙地」、第3期「郷村社会調査報告書」それぞれの総合的活用によって、特色ある「モンゴル」社会の実像を描くことを可能とする。また現代の複雑な政治的状況下などに置かれる「モンゴル」社会の検証と理解を進め、近代と現代を橋渡しする力を有するものである。
全6巻
全巻揃価:196,000円(税別)
B5判上製/全5,000頁
日満両国旗を手にして雨乞いする
錦州地域のモンゴル人農民
・セット1 第1~3巻:全3巻 揃価98,000円(税別)/ISBN978-4-86364-422-9/2,100頁
・セット2 第4~6巻:全3巻 揃価98,000円(税別)/ISBN978-4-86364-423-6/2,900頁
2015年12月刊行/発売中












雨乞いする錦州地域の
モンゴル人農民たち
旧王公特殊権益奉上書(蒙文)














錦熱蒙地調査班の編成
錦熱地区蒙地の土地関係



























熱河省錦州省旗境界図



























錦熱蒙地略図




























「錦熱蒙地」調査地区の現在
旧トメド左翼旗(現阜新モンゴル族自治県)の
モンゴル人農家の祭壇
蒙漢信者で賑わう現在のラマ教寺院瑞応寺(2010年)















オーハン(敖漢)旗のモンゴル人(2013年)
旧トメド左翼旗(現阜新モンゴル族自治県)の
モンゴル人農家(2012年)

















[第3期]満洲国関連機関調査報告 III

「郷村社会調査報告」

◎内容と特色
1.第3期『満洲国関連機関調査報告III』には満洲国関連機関(国務院総務庁統計処、土地局、文教部、財務部、満鉄経済調査会、協和会など)が満洲国内に立地する典型的な農村に対して実施した総合調査の記録「郷村社会調査報告書」(記述編・統計編)を収録する。
2.当時の最先端の知識を身に付けた調査員によって実施された調査は土地制度、社会経済、教育、宗教などに亘る総合的で精緻なものであり、定性的データ、定量的データ両面から当時の村落の状況を再構成する。 調査対象の6村落のうち2つがモンゴル人居住区域村落である。すなわちモンゴル人農村と他の民族が居住する農村との比較研究を可能にする。
3.満洲国の農村社会の実態を検証、再構成する本資料集は、既刊「非開放蒙地」「開放蒙地」「錦熱蒙地」調査報告の利用とあわせ当時のモンゴル社会の実像を描くとともに、多民族が居住する地域であった満洲国内におけるモンゴル社会の位置付けを明確にする。

調査対象村落とその立地
①奉天省海城県第一区晌堂村攔河山屯
②奉天省西豊県第二区更刻村忠信屯
③熱河省凌源県第一区十五里堡
④吉林省伊通県第二区達子営屯
⑤龍江省龍江県第一区大道三家子
⑥興安南省科爾沁左翼中旗第一区二貝子府屯
*③⑥=モンゴル人村落

満洲国と立地村落








































全2巻
満洲国国務院
全巻揃価:54,000円(税別)
B5判上製/全1,300頁/ISBN978-4-86364-444-1
発売中
収録資料
第1巻:康徳二年 郷村社会調査報告書記述編
 (康徳3(1936)年6月15日・国務院総務庁統計処)
第2巻:郷村社会調査報告書 統計編
 自康徳二年二月二十八日至康徳二年四月十一日
「郷村社会調査報告書 記述編」
表紙
   (康徳3(1936)年4月15日・国務院統計処)
















熱河省凌源県第一区十五里堡(「記述編」収録)


















龍江省龍江県第一区大道三家子(「記述編」収録)




















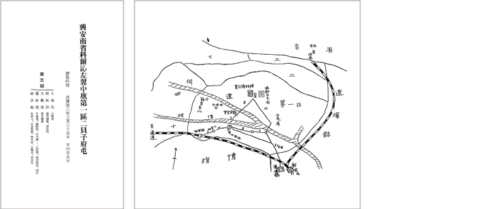
興安南省科爾沁左翼中旗第一区二貝子府屯(「記述編」収録)
職業別構成表など(「統計編」収録)
「郷村社会調査報告書 統計編」
表紙




































モンゴル人農家(満洲国内モンゴル人居住地区:参考)
農村風景(満洲国内農村:参考)

































大豆の収穫(満洲国内農村:参考)
大豆の脱穀(満洲国内農村:参考)















































「戦前期モンゴル社会関係実態調査資料集成」シリーズ構成

第1期「満洲国関連機関調査報告Ⅰ」(全11巻)
・第1回配本「非開放蒙地調査報告」:全6巻 揃価170,000円(税別)
・第2回配本「開放蒙地調査報告」:全5巻 揃価135,000円(税別)


第2期「満洲国関連機関調査報告Ⅱ」(全6巻)
「錦熱蒙地調査報告」
・セット1:全3巻 揃価98,000円(税別)
・セット2:全3巻 揃価98,000円(税別)


第3期「満洲国関連機関調査報告Ⅲ」(全2巻)
「郷村社会調査報告」:揃価54,000円(税別)


最終配本
『別巻』(「満洲国関連機関調査報告」総合解説・参考資料編)
全1巻 定価25,000円+税
(2020年刊行予定)/ISBN978-4-86364-289-8